/
PTI


ஃபானி புயலால் சனிக்கிழமை வரை 223 விரைவு ரயில்கள் ரத்து
3 மே 2019

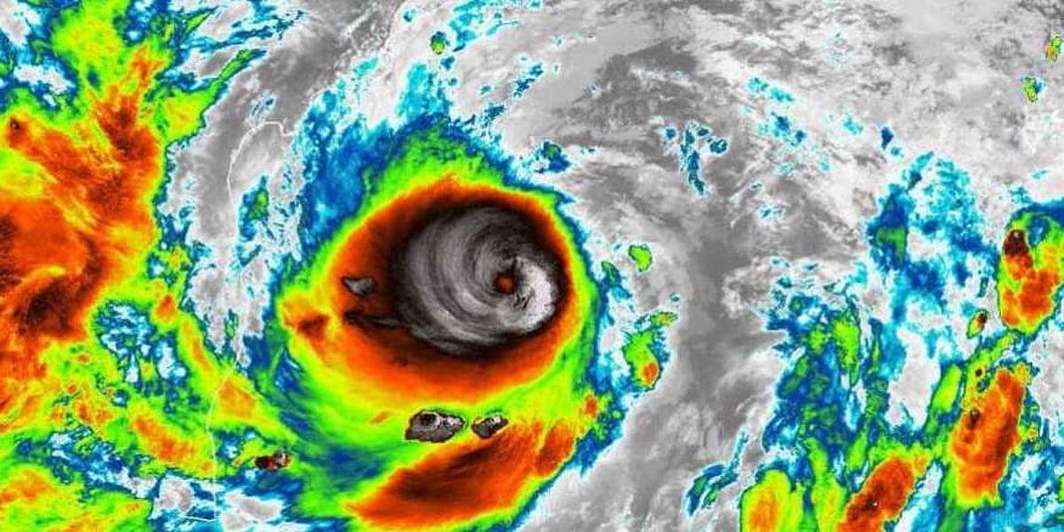
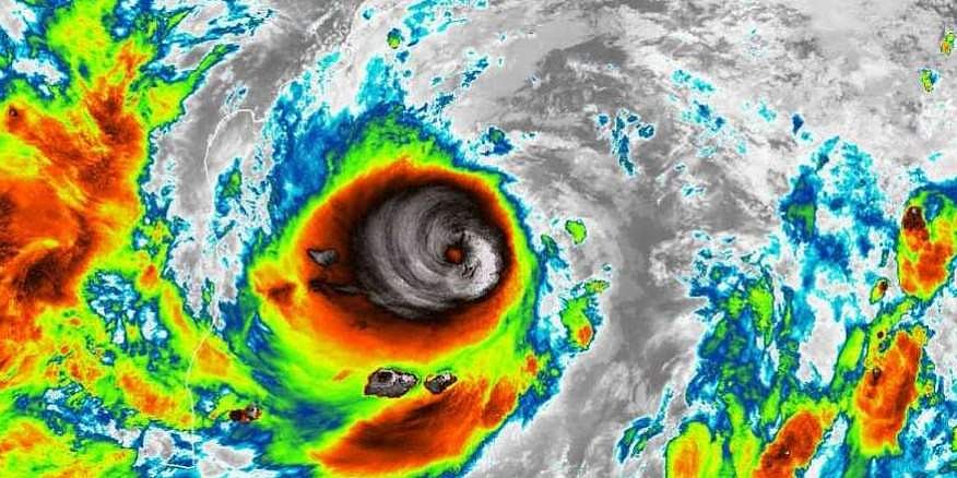
ஒடிஸாவில் கரையைக் கடந்தது ஃபானி புயல்: மேற்கு வங்கத்தை நோக்கி நகர்கிறது! (விடியோ)
3 மே 2019

இந்தியாவில் வெப்பநிலை உயர்ந்துவிட்டால் ராகுல் வெளிநாட்டுக்கு கிளம்பிவிடுவார்: அமித் ஷா கிண்டல்
2 மே 2019

ஜனநாயகத்தில் எஜமானர்களாகிய மக்கள் சொல்வதை காங்கிரஸ் செய்யும்: ஜார்கண்ட்டில் ராகுல் பேச்சு
2 மே 2019

பொதுத் துறை வங்கிகளில் நீண்டகாலமாக காலியாக இருக்கும் 36 இயக்குநர்களுக்கான பதவிகள்
1 மே 2019

மகாராஷ்டிராவில் மாவோயிஸ்ட்டுகள் நடத்திய தாக்குதலில் 15 பாதுகாப்பு படையினர் பலி: மோடி கண்டனம்
1 மே 2019

புயல் காரணமாக ஒடிஸாவில் 11 மாவட்டங்களுக்கு தேர்தல் நடத்தை விதியில் தளர்வு
1 மே 2019

மத்தியப்பிரதேசத்தில் இன்று மையம் கொள்ளவிருக்கும் இரு சூறாவளிகள்!
1 மே 2019

மத்திய இந்திய மாநிலங்களுக்கு ரெட் அலர்ட் எச்சரிக்கை: இது மழைக்கானது அல்ல
30 ஏப்ரல் 2019
Loading...

